6 meses, 17 días, 22 horas y 45 minutos
Michoacán sin afectaciones por el paso de la tormenta tropical “Raymond”
El gobernador Alfredo Ramírez Bedolla informó que, hasta el momento, no se han registrado afectaciones en Michoacán derivadas del paso de la tormenta tropical “Raymond”. Como medida preventiva, indicó, este viernes se suspendieron las cla...
7 meses, 25 días, 22 horas y 45 minutos
Lluvias en Morelia: calma inicial, pero se esperan aguaceros fuertes en septiembre y octubre
La temporada de lluvias en Morelia ha resultado hasta ahora favorable para la ciudad, informó Francisco Xavier Lara Medina, coordinador de Protección Civil y Bomberos municipales. En entrevista realizada este martes en el Centro Administrativo de Morelia (CAM), el funciona...
8 meses, 6 días, 22 horas y 45 minutos
Zona de baja presión en el Pacífico pone en alerta a Michoacán, Colima y Jalisco
La temporada de huracanes en el Océano Pacífico vuelve a activarse y mantiene bajo vigilancia a tres estados del país: Michoacán, Colima y Jalisco. Una zona de baja presión con altas probabilidades de intensific...
9 meses, 26 días, 22 horas y 45 minutos
Tormenta tropical Flossie provocará lluvias torrenciales en Guerrero y Michoacán
En las próximas horas, la tormenta tropical Flossie generará lluvias torrenciales, con acumulados de entre 150 y 250 milímetros, en las costas de Guerrero y Michoacán, informó el Servicio Meteorológico Nacional (SMN). Además, se prev&eacut...
11 meses, 2 días, 22 horas y 45 minutos
Temporada de huracanes arranca con fuerza: 80% de probabilidad de ciclón en el Pacífico
La temporada de huracanes 2025 ha comenzado a generar preocupación en México. El Servicio Meteorológico Nacional (SMN) informó que ha aumentado al 80% la probabilidad de que se forme el primer ciclón tropical en el océano Pacífico. Median...
11 meses, 4 días, 22 horas y 45 minutos
Alerta en el Pacífico: Alta probabilidad de que se forme el ciclón “Alvin” frente a Michoacán
El Servicio Meteorológico Nacional (SMN) informó este sábado 24 de mayo que ha aumentado de manera significativa la probabilidad de formación del primer ciclón tropical de la temporada 2025 en el Océano Pacífico. La pregunta ahora es: ¿podr&...
11 meses, 27 días, 22 horas y 45 minutos
Inicia mayo y con él se aproxima la temporada de huracanes 2025: ¿cuál será el primer ciclón?
Con la llegada de mayo, además de celebrarse importantes fechas en México, las autoridades internacionales se preparan para el inicio de la temporada de huracanes en el océano Pacífico y el Atlántico. De acuerdo con el Centro Nacional de Huracanes (NHC) de Miami...
1 año, 2 meses, 2 días, 22 horas y 45 minutos
Temporada de Huracanes 2025 en México: Prepárate y Mantente Informado
La temporada de huracanes 2025 en México está a punto de comenzar, y es esencial que la población esté bien informada y preparada para enfrentar los posibles fenómenos naturales. A continuación, te brindamos información clave sobre las fechas de in...
1 año, 2 meses, 2 días, 22 horas y 45 minutos
Temporada de Huracanes 2025 en México: Prepárate y Mantente Informado
La temporada de huracanes 2025 en México está a punto de comenzar, y es esencial que la población esté bien informada y preparada para enfrentar los posibles fenómenos naturales. A continuación, te brindamos información clave sobre las fechas de in...
4 años, 7 meses, 22 horas y 45 minutos
“Nora”: colapsó un edificio y hay un menor fallecido en Puerto Vallarta
El gobierno de Jalisco reportó este domingo que "se han intensificado las labores de apoyo en los municipios costeros, principalmente en Cihuatlán, en donde alrededor de 500 casas se han visto afectadas por el desbordamiento del arroyo El Pedregal, en San Patricio, Melaque y Vi...
5 años, 6 meses, 22 días, 22 horas y 45 minutos
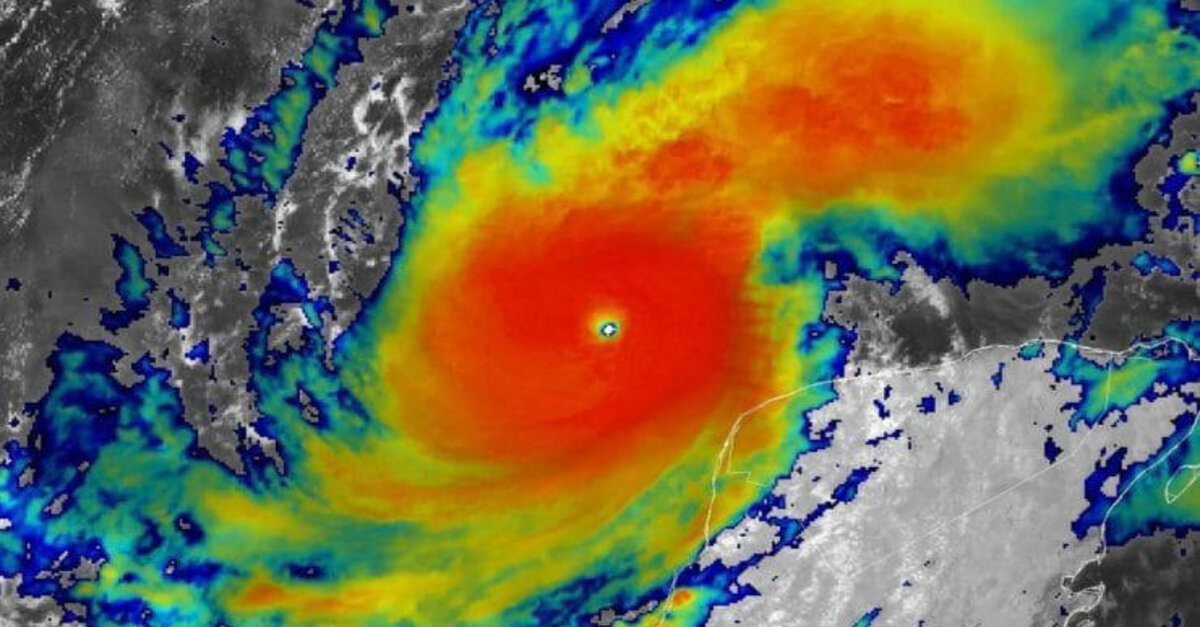
Huracán Delta desde el espacio
El paso del huracán Delta ha sido registrado desde los satélites, ofreciendo imágenes espectaculares de su avance por el Golfo de México. Poniendo en alerta territorios como Yucatán y ...
5 años, 6 meses, 23 días, 22 horas y 45 minutos
Pronostican que 'Delta' se convertirá en huracán categoría 3 el miércoles
La Comisión Nacional del Agua (Conagua) emitió una alerta de huracán por la la tormenta tropical Delta, que se desplaza hacia el oeste sobre el Mar Caribe y que podría llegar a Quintana Roo convertida en huracán categoría 3 la madrugada de este mié...
5 años, 7 meses, 15 días, 22 horas y 45 minutos
Avanza huracán 'Paulette', tormentas 'René' y 'Sally' también avanzan
Paulette se fortaleció a huracán categoría 1 mientras avanza por el Océano Atlántico junto con René y Sally, previéndose diferentes afectaciones para Estados Unidos, el Golfo de México y Bermudas, según los últimos reportes del...
5 años, 7 meses, 22 horas y 45 minutos
Huracán Laura dejó 15 muertos y miles de personas sin electricidad en Estados Unidos
El poderoso huracán Laura ha dejado al menos 15 fallecidos a su paso por Estados Unidos, mientras que miles de vecinos de Luisiana y Texas se han quedado sin electricidad y agua y no saben cuándo podrán volver a acceder a esos servi...
5 años, 8 meses, 2 días, 22 horas y 45 minutos
Huracán Laura es “extremadamente peligroso”, alertaron autoridades
“Extremadamente peligroso”, dijo el Centro Nacional de Huracanes (NHC, por sus siglas en inglés) de Estados Unidos, sobre el huracán Laura que este miércoles tuvo un estrepitoso aumento de c...
5 años, 8 meses, 5 días, 22 horas y 45 minutos
La tormenta Marco se convirtió en huracán en el Golfo de México
La tormenta tropical Marco, que viaja hacia el sur de Estados Unidos a través del Golfo de México, se convirtió en huracán este domingo al mediodía, informó el Centro Nacional de Huracanes estadounidense (NHC). En una actualizac...
5 años, 11 meses, 19 días, 22 horas y 45 minutos
La temporada de Huracanes será muy activa y comienza oficialmente el 1 de junio
Todavía faltan semanas para la temporada de huracanes, pero los expertos ya están anticipando que este año podría ser más activo de lo normal, un pronóstico que los funcionarios de emergencias pueden encontrar problemático ya que gran parte del pa&...
6 años, 7 meses, 7 días, 22 horas y 45 minutos
Más de 200 personas afectadas por el paso de Lorena por Jalisco
El paso de Lorena por la costa sur de Jalisco durante la madrugada y la mañana de ayer, cuando era huracán de categoría 1, dejó decenas de viviendas inundadas, así como al menos 208 personas evacuadas de la delegación Chamela,...
6 años, 7 meses, 27 días, 22 horas y 45 minutos
Huracán ‘Dorian’ se convierte en categoría 5 antes de llegar a Bahamas
El “catastrófico” huracán Dorian se ha fortalecido en las últimas horas hasta alcanzar la categoría 5, la máxima en la escala Saffir Simpson, y encara este domingo el noreste de Bahamas, a ...
6 años, 7 meses, 29 días, 22 horas y 45 minutos
Huracán 'Dorian' amenaza a 10 millones de personas en Florida
MIAMI, Florida (EU).- El huracán Dorian amenaza este viernes una franja de unas 10 millones de personas, incluyendo el centro turístico de Walt Disney World y el de Mar-a-Lago del pre...
6 años, 9 meses, 18 días, 22 horas y 45 minutos
Pronostican formación de huracán 'Barry' este viernes
El Centro Nacional de Huracanes de Estados Unidos (NHC) pronosticó para este viernes la formación del primer huracán de esta temporada, 'Barry', que, de acuerdo a un patrón de tr...
No hay registros
Noticias, opiniones, denuncias y reportajes.
Somos la alternativa a los medios tradicionales, donde la juventud, la creatividad y el profesionalismo se fusionan con un periodismo libre e independiente. Nuestra esencia es romper barreras, innovar y conectar contigo, llevando la voz del pueblo a donde debe ser escuchada.
Contáctanos: contacto@esteesmichoacan.mx
Morelia, Michoacán. México.
© 2026 ESTEESMICHOACAN todos los derechos reservados. | Aviso de Privacidad | Quiénes Somos